猪圆环病毒2型(PCV2)可以引起许多疾病,影响猪生长各个阶段。PCV2主要引起PCV2相关性系统疾病(PCV2-SD)和PCV2亚临床感染(PCV2-SI),它们统称为猪圆环病毒病(PCVD)。该病毒可以造成广泛的病变,呈世界性分布,给猪场造成了重大经济损失。这篇文章主要讨论了PCV2的特性、致病性、传播途径和持续存在。
。_56957.jpg)

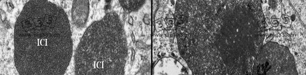
PCV2-SD病猪的淋巴结电镜图. PCV2胞浆内包含体。病毒粒子呈亚晶状排列(见右图中小插图)。图片由卡罗莱纳州Rodríguez-Cariño提供。
PCV2是无囊膜二十面体病毒,单股环状DNA病毒1.76-1.77kb。属于圆环病毒科、圆环病毒属。直径12-23nm。是哺乳动物最小的病毒。基因组有11个开放阅读框(ORFs),表达蛋白基因包括ORF1(rep 基因,非结构复制酶蛋白,rep 和rep’)、ORF2(Cap 基因,衣壳蛋白)、ORF3(编码非结构蛋白,导致PK-15细胞细胞凋亡)。衣壳蛋白有免疫原性,能够激发体液和细胞免疫应答,它是商品化疫苗有效成分。
系统进化研究表明PCV2毒株之间的核苷酸同源性相当高(93%)。许多早期开展的研究并未关注PCV2分离株之间的序列差异,但是后来的研究将PCV2毒株分成两组,基因型a(PCV2a)和基因型b(PCV2b)。在20世纪80年代从丹麦猪场发现了基因型3(PCV2a)。而基因型4(PCV2d)最近在中国发现,但是在世界其他地方也发现了PCV2d。在适当的条件下,PCV2a和PCV2b能够实验室复制PCV2系统性疾病(PCV2SD)。实验室感染 PCV2b复制疾病的可能性大,通过实验感染和流行病学研究,主要基因型从PCV2a转到PCV2b,这与PCV2-SD的发生有关。在这种情况下,不能排除猪场混合感染多种基因型的可能性。目前,所有的PCV2疫苗基于PCV2a毒株,能够保证交叉保护PCV2b。实验室研究表明PCV2b疫苗抵抗PCV2b感染的效果更好,表明同源保护的有效性。
PCV2生物和理化特性未能完全研究清楚。该病毒在环境中抵抗力很强,对化学和热处理具有很高的抵抗力(表1)。
表1. 环境、化学和热处理对PCV2感染性的影响。
| PCV2 感染性 | |
| pH |
|
| 热处理 |
|
| 化学处理 |
|
PCV2是猪特异性病毒,感染家猪和野猪。研究PCV2感染其他动物的能力,如牛、绵羊、山羊、马、犬、猫、兔、豚鼠、禽类和人,表明这些动物不易感染PCV2。其他研究表明PCV2能够在老鼠之间复制和传播。鼠类在猪群中作为交替寄生或者机械性传媒,因此只有在猪场的鼠类能够检测到PCV2的感染。但是老鼠在整个PCV2流行病学上的作用重要性很低。PCV2存在于所有组织排泄物、分泌物途径、鼻腔、扁桃体、支气管、唾液、结膜、粪便、尿液、奶汁和精液。通过口鼻部传播,也能通过胎盘传播。感染通过母猪群传播,是仔猪感染源。仔猪可能经历较长的感染期,直到28周龄时病毒血症。在这种情况下,PCV2对环境的抵抗力和传播能力非常强,PCV2无处不在,几乎存在猪舍的任何一个角落。


